Feed cnncom-rss-channel-app-international-edition CNN.com - RSS Channel - App International Edition

Favorite IconCNN.com - RSS Channel - App International Edition

Link https://www.cnn.com/app-international-edition/index.html
Feed http://rss.cnn.com/rss/edition.rss
Copyright Copyright (c) 2024 Turner Broadcasting System, Inc. All Rights Reserved.
Updated 2026-04-16 18:18
Typhoon Mangkhut lashes Hong Kong and mainland China
Hong Kong's storm alert was lifted to its highest level Sunday as Typhoon Mangkhut swirled off the coast, bringing the city to a standstill as residents prepared for the threat of heavy rain, storm surges and flooding.
Typhoon slams Philippines as Mangkhut claims first victims
Two people have been killed by Typhoon Mangkhut, which slammed into the Philippines in the early hours of Saturday, bringing ferocious gale-force winds and pounding rains.
How Manafort might help Russia probe
Paul Manafort has worn many hats: an international political operative, President Donald Trump's former campaign chairman, Trump confidant Roger Stone's business partner and now government witness.
Live updates: Florence's trail of destruction
Trump's former campaign boss agrees plea deal with Mueller
Planet's strongest storm slams Asia
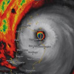
Typhoon Mangkhut is the strongest storm on earth so far this year. The typhoon's path has taken it to the Philippines, Hong Kong and now mainland China.
Millions stuck between regime, rebels in Idlib
As a large-scale military campaign in Syria's last rebel stronghold looms, Syrians on both sides of the divide are bracing for a bloody battle.
Typhoon Mangkhut heads to Hong Kong after lashing northern Philippines
Super Typhoon Mangkhut made landfall early Saturday in the northern Philippines, bringing with it gale-force winds and heavy rains as aid agencies warn millions are at risk.
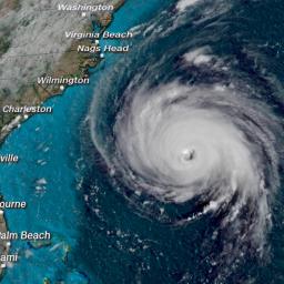
Hurricane Florence pummels the US
Weatherman accused of dramatizing conditions
A weatherman firmly braces himself for Hurricane Florence as two people walk behind him appearing unaffected by the high winds.
What's behind NRA TV's grotesque take on 'Thomas & Friends'
NRA TV host Dana Loesch seems to thrive on dog whistle controversy. Case in point: in a recent segment of her internet show "Relentless," she castigated the British cartoon series "Thomas & Friends," featuring Thomas the Tank Engine, for seeking to bring "gender balance" and "ethnic diversity" to the show.
Ariana Grande honors ex Mac Miller
Ariana Grande has broken her silence about the death of rapper Mac Miller, her former boyfriend and someone she called her "dearest friend" in a social media post on Friday.
More than 4 million in path of destruction as thousands are evacuated in the Philippines
Russia war games: Why West should be concerned
Massachusetts explosion: 'It looked like Armageddon'
Officials responded to multiple addresses for fire, explosions or investigation in three Massachusetts towns.
4,000 year-old Egyptian tomb opens to public for first time
An ancient Egyptian tomb hidden away from public eyes for more than 80 years has opened near Giza, the home of the ancient pyramids.
Brexit is like a screaming child. But the EU isn't listening
Brexit is a bit like a screaming child. Those of us in the UK want everyone else to care about it as much as we do. But for most European Union member states, it's an annoyance to be gotten rid of -- respectfully, but as quickly as possible.
Trump's former campaign boss to plead guilty plea in second trial
Former Trump campaign chairman Paul Manafort will plead guilty to two charges Friday morning, special counsel Robert Mueller's office said.
Massachusetts explosion: 'It looked like Armageddon'
Homes in three towns north of Boston went up in flames on Thursday, consumed by more than 60 suspected gas fires.
Trump will tell us how to judge his Hurricane Florence response
Hurricane Florence starts flooding parts of the Carolinas
Trump falsely claims nearly 3,000 Americans in Puerto Rico 'did not die'
Nearly 3,000 people died in the aftermath of Hurricane Maria in Puerto Rico. President Donald Trump denied this reality as a hurricane barrels toward the Carolinas.
Why Japan wants to restart commercial whaling
Days of debate over the future of whaling will come to a head Friday when members of the International Whaling Commission (IWC) vote on a Japanese proposal which could lead to the resumption of commercial whaling.
How trade war hurts US companies in China
More than 4 million in path of destruction as alerts issued for Philippines under typhoon
US announces new North Korea sanctions
The US announced new sanctions against North Korea Thursday, taking aim at a Chinese company, its North Korean CEO and its Russia-based sister company.
Two sisters die after undergoing FGM
Two sisters have died in Somalia from complications that arose after undergoing female genital mutilation (FGM), according to anti-FGM campaigner, Hawa Aden Mohamed.
Think this TV interview was silly? Think again
More than 4 million people in the path of destruction
Democrats send 'information' concerning Kavanaugh to FBI
Manafort and Mueller close to deal for guilty plea
Former Trump campaign chairman Paul Manafort and special counsel Robert Mueller are close to a deal for a guilty plea ahead of his upcoming trial, according to a source familiar with the matter.
Cynthia Nixon's ambitions to be governor of New York are over
US offers China new trade talks as tariffs loom on $200B of goods
This is Florence's projected path
Prince William mixes up Japan and China
Britain's Prince William is following in the footsteps of his gaffe-prone grandfather, Prince Philip, confusing Japanese food with Chinese food during a public appearance on Thursday.
Papers reveal grim reality of no-deal Brexit
Traveling between the UK and European Union will get a whole lot more complicated -- and expensive -- should Brexit talks end without a deal, British government papers released Thursday suggest.
Pope slammed by victims for 'glacial' handling of sex abuse scandal
Evacuation orders issued as huge storm nears Philippines
Defiant Damascus seeks new dawn amid the rubble
The once-desolate marketplace of Shaalan has sprung back to life. Shops shuttered for years have reopened their doors, glitzy new restaurants spill onto sidewalks and the traffic jams that were once a main feature of the Syrian capital have returned with a vengeance.
Court declines to intervene in case of Indian bishop accused of raping nun
An Indian court has declined to intervene in the case of a Catholic nun who says she was raped multiple times over a two year period by a bishop, charges he denies.
This is Florence's projected path
Suspected poisoning hospitalizes Pussy Riot member
A member of Russian feminist punk band and activist group Pussy Riot has been hospitalized in Moscow, according to band members, who suspect he has been poisoned.
Aung San Suu Kyi admits Rohingya crisis 'could have been handled better'
2020 US Democrats' new No. 1
Take a look at the 2018 Democratic primary season and three things immediately leap out at you:
UN granted access to Rohingya villages in Rakhine state
United Nations inspection teams have been granted access to Myanmar's Rakhine State to assess dozens of villages and townships that housed Rohingya Muslims fleeing persecution last year.
The real victim of Trump's new China tariffs
American consumers may soon get a taste of the trade tensions between the United States and China.
9-year-old attacked by politicians over Australian anthem protest
A 9-year-old Australian girl who refused to stand during the country's national anthem out of respect for the nation's Indigenous population has been attacked by prominent politicians, who called for her to be kicked out of school.
20,000 pallets of bottled water were left untouched in Puerto Rico
The stockpile of bottled water stretches down an unused runway in Ceiba. Case after case, pallet piled upon pallet, blue tarps and plastic glinting in the sun.
US, allies readying effort to expose N Korean sanctions violations
The US and allies are days away from launching a new effort to more publicly expose North Korean violations of sanctions aimed at curbing its nuclear and missile programs, two defense officials tell CNN.
Fighting to be chief where women 'simply don't exist'
...796797798799800801802803804805...