Feed cnncom-rss-channel-app-international-edition CNN.com - RSS Channel - App International Edition

Favorite IconCNN.com - RSS Channel - App International Edition

Link https://www.cnn.com/app-international-edition/index.html
Feed http://rss.cnn.com/rss/edition.rss
Copyright Copyright (c) 2024 Turner Broadcasting System, Inc. All Rights Reserved.
Updated 2026-04-16 18:18
Apple unveils 3 iPhones and a watch that detects heart problems
Quickly catch up on the day's news
Here's what you might have missed today on CNN:
Driver kills 9 in China square after plowing into crowd
Nine people were killed after a driver rammed his car into a crowd in the southeastern China city of Hengyang late Wednesday, according to the local government.
How the British Empire spread homophobia across the world
Pope calls unprecedented meeting of top officials over sexual abuse
Pope Francis has taken the unprecedented step of summoning the top officials of the Catholic church to discuss the escalating sexual abuse scandal that has plagued the church.
EU votes for punishment against Hungary
EU hands out unprecedented punishment to Hungary
Putin: We know who the Novichok suspects are, and they're not criminals
Two suspects named by UK authorities over the poisoning of former Russian double agent Sergei Skripal and his daughter are not criminals, Russian President Vladimir Putin said Wednesday.
Students accused of gaining weight to avoid military service
South Korean authorities have vowed to "make an example" of 12 music students accused of conspiring to gain weight to avoid mandatory military service.
Why Naomi Osaka could have the last laugh
68 killed in Afghan suicide bombing
US 'deeply troubled' by alleged Chinese crackdown in Xinjiang
Another, even stronger storm is bearing down on SE Asia
As the US east coast braces for Hurricane Florence, an even stronger super typhoon is barreling down on southeast Asia, with Hong Kong and Macau square in its path.
Racist Serena Williams cartoon 'nothing to do with race,' paper says
Imprisoned ex-Brazilian leader drops electoral bid
Imprisoned former Brazilian President Luiz Inacio Lula da Silva abandoned his party's presidential bid on Tuesday, weeks before an election in which he was considered a front-runner.
Haley warns Russia, Iran of 'dire consequences' over Syria assault
US Ambassador to the United Nations Nikki Haley warned Russia and Iran of "dire consequences" if they continue airstrikes against the last rebel-held area in Syria and said the US would respond to any use of chemical weapons.
Russia kicks off massive war games -- with China by its side
People living in Hurricane Florence's path write messages for the storm
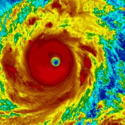
See the eye of Hurricane Florence
More than one million people on the Southeast coast of the United States face mandatory evacuation orders as Hurricane Florence nears.
Trump pays sober tribute to 9/11 after Russia tweets, fist pumps
Alibaba is helping Russia go big in online shopping
New snailfish species found in ocean's depths
Australian newspaper doubles down on racist Serena Williams cartoon
An Australian newspaper is standing by a cartoon of Serena Williams widely denounced as racist both at home and in the US.
This is Florence's projected path
More than one million people on the southern East Coast of the United States faced mandatory evacuation orders as Hurricane Florence nears Category 5 strength.
Billie Jean King: Serena was 'out of line,' but umpire 'blew it'
Speaking about Saturday's controversial US Open final, Billie Jean King, the tennis legend and equal rights advocate, told CNN's Christiane Amanpour that Serena Williams was "out of line," but umpire Carlos Ramos aggravated the situation.
Quickly catch up on the day's news
Here's what you might have missed today on CNN:
Austrian journalist critical of Erdogan detained in Turkey
Trump's tweets on September 11 prove his presidency isn't about the country. It's about him
On the 17th anniversary of the deadliest act of domestic terrorism in American history and with a monster hurricane bearing down on the East Coast, the President of the United States woke up on Tuesday morning and tweeted this:
After Russia tweets, Trump's tribute to 9/11
Russia begins biggest military exercises since Soviet collapse
Search called off for pop star missing from cruise ship
A search for missing German pop singer Daniel Kaiser-Kueblboeck, who reportedly jumped overboard from a cruise ship near Canada over the weekend, has been called off, according to the Canadian Joint Task Force Atlantic (JTFA).
Conway deflects question on 'fake news' slogan
CNN's Christiane Amanpour presses Kellyanne Conway, counselor to President Donald Trump, about the damaging effects of the President's words and actions.
Saudi man arrested for having breakfast with woman
Saudi authorities have arrested an Arab man who appeared in video having breakfast with a female work colleague.
Rescuer hit in Syria airstrike, keeps filming
As he had done dozens of times before, Anas al-Diab rushed to film the aftermath of an airstrike in Syria's Idlib province.
9/11 recalled: 'A gray cloud of debris rolled violently toward us...'
Three-hundred and forty-one New York City firefighters. Twenty-three New York City police officers. Thirty-seven Port Authority police officers. Three court officers. Two EMS workers. Thousands of innocent civilians. Numbers alone, of course, cannot do them justice.
Climate changes drives up hunger around the world
Climate change is having a negative effect on global agriculture and is driving up the number of hungry people around the world, according to the United Nations' 2018 State of Food Security and Nutrition in the World report, released Tuesday.
Indian nuns demand arrest of bishop accused of rape
A group of nuns in one of India's oldest Catholic communities is calling for the arrest of a bishop who has been accused of raping one of the church's sisters multiple times over a two-year period.
Man jailed for starting fire at Joshua Tree National Park
A California man was sentenced to five years in prison Monday for illegally starting a fire that burned nearly 10,000 square feet of historic trees and other vegetation in the Joshua Tree National Park.
How trade war will hit China exports
1m copies of Woodward's book to be printed
'It's just a heck of a storm,' Florence hurricane hunter says
As Paul Flaherty flew over Hurricane Florence, he didn't like what he was seeing.
US to threaten sanctions against International Criminal Court
The Trump administration is expected to raise the specter of sanctions against the International Criminal Court (ICC) if it moves to investigate the US or Israel, according to an official familiar with planned remarks by US National Security Advisor John Bolton.
Florence, now a category 4 hurricane, prompts mandatory evacuations on US East Coast
Grocery stores are restocking shelves with water and bread, and supply stores are selling a lot of plywood and generators Monday as residents prepare for Hurricane Florence to strike hard later this week.
Ocean's plastic pollution clean up underway
An ambitious project to clean up the ocean's plastic pollution got underway over the weekend as members of The Ocean Cleanup project began towing their system out to sea.
White House changes phone policy again amid heightened paranoia
Kim letter requested second Trump meeting, White House says
White House press secretary Sarah Sanders said Monday that President Donald Trump is open to another meeting with North Korean dictator Kim Jong Un despite national security adviser John Bolton's assertion that the US is still waiting for Pyongyang to take steps toward denuclearization.
Trump's authority crisis deepens
Officer charged in unarmed neighbor's killing
White House again changes phone policy amid heightened paranoia
After Omarosa Manigault Newman revealed last month that she secretly taped White House chief of staff John Kelly as he fired her in the Situation Room, a change was made to the West Wing's phone policy.
Woodward's never seen a President 'so detached from reality'
Bob Woodward has covered eight presidents -- including one who he helped force out of office thanks to his reporting about Watergate. Which means that when he talks, you should listen. And when he says he's never seen anything like what he saw reporting out "Fear: Trump in the White House" -- his book out tomorrow -- then you should stand up and pay attention.
...797798799800801802803804805806...